Massive 171,000-square-foot retail store proposed for SR 100 lot in Palm Coast

'My one concern about this project is the traffic that it will create,' Vice Mayor Theresa Carli Pontieri said. 'We already know this is a severe pain point.'


  • Palm Coast Observer
  • News
  • Share

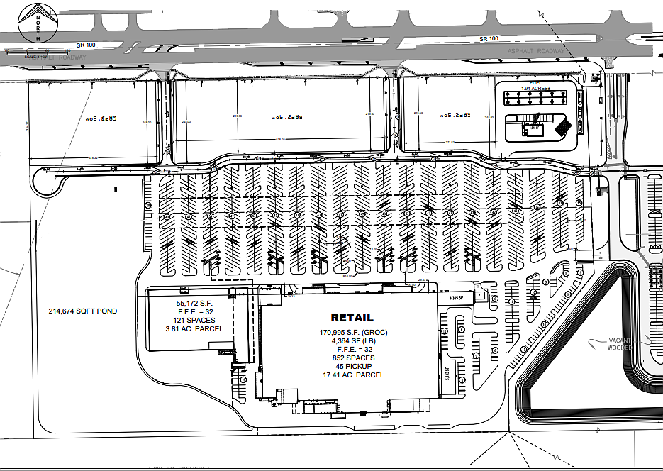
A massive 171,000-square-foot retail store is being planned for the empty lot east of BJ’s Wholesale Club on State Road 100. 

The lot is owned by Flagler Pines Properties, LLC, who is currently applying to have the 38.8-acre space annexed into Palm Coast. In a presentation to the Palm Coast City Council on Oct. 21, applicant representative Jay Livingston did not say what store is planned for the space but described it as retail as a “big box, discount superstore.”

According to a tentative site plan, the lot will have 852 parking spaces and 45 pickup spaces for the main building. A second, smaller, 55,000-square-foot building adjacent to the main store would have 121 spaces. Outlines of a stormwater pond and a 1.94-acre section with a gas station are also included on the site plan.

“My one concern about this project is the traffic that it will create,” Vice Mayor Theresa Carli Pontieri said. “We already know this is a severe pain point.”

My one concern about this project is the traffic that it will create.”

 – THERESA CARLI PONTIERI, Palm Coast Vice Mayor

When development was previously proposed on the lot at the county level, the developer was planning to create a mixed commercial and residential area similar to the Promenade in Town Center, former Flagler County Commissioner and current City Councilman Dave Sullivan said. 

In February, the developer scrapped those plans and presented an annexation application to Palm Coast. At the time, the council approved the annexation’s first reading but asked the developer to return with more details about the proposed development before the annexation’s second reading. 

Now the developer is requesting the site be designated Palm Coast’s mixed-use Future Land Use and given a general commercial zoning designation. City Engineer Jose Papa said combined with the zoning change, this removes the potential residential use for the developer.

While this unnamed retail store potentially adds another commercial business to Palm Coast’s repertoire, the council was leery of how the traffic generated by such a development would impact the already-congested S.R. 100.

“If this council does not look out for the safety of 100 and the traffic of 100,” Pontieri said, “we are going to be in even more dire straits than we are now. It's incumbent upon us to be mindful of what we allow on 100 right now because of the traffic and public safety.”

Ultimately, the council approved the application unanimously, but not without a thorough discussion of the potential impact to S.R. 100. 

If this council does not look out for the safety of 100 and the traffic of 100, we are going to be in even more dire straits than we are now."

 – THERESA CARLI PONTIERI, Palm Coast Vice Mayor

There are serious concerns about how much more S.R. 100 can take. According to a traffic analysis submitted by the applicant, based on the maximum allowed development on the site for Palm Coast’s mixed-use designation – over 929,000 square feet of general retail, more than five times what is being proposed – the site could generate a maximum of 3,161 p.m. peak hour trips.

To mitigate the impact on the S.R. 100, the developer is already planning on adding three, over 300-foot right turn lanes.

“Essentially, put in a second, third lane on the south side to pull as much traffic off,” he said. “That’s the best we can do until FDOT approves the six-laning [of S.R. 100].”

The Florida Department of Transportation was planning on six-laning S.R. 100 back in the early 2000s, Livingston said, but that has since fallen off the FDOT’s radar.

“The analysis indicates potential roadway deficiencies that may occur due to the potential increase in traffic associated with the proposed amendment,” the staff report reads. 

Typically traffic impact and trip generation issues are handled during the site plan review, but, Pontieri said she felt that would be too late to address the potential problems. She asked the developer and staff to return to the Nov. 4 meeting with more plans or ideas to help mitigate the impact. 

“My concern is how we're going to account for concurrency now, not when this comes back to site plan,” she said.

 

Latest News

×

Your free article limit has been reached this month.
Subscribe now for unlimited digital access to our award-winning local news.